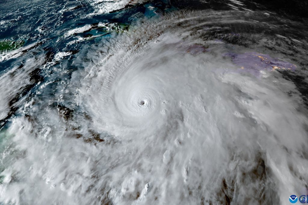
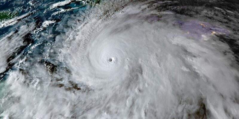
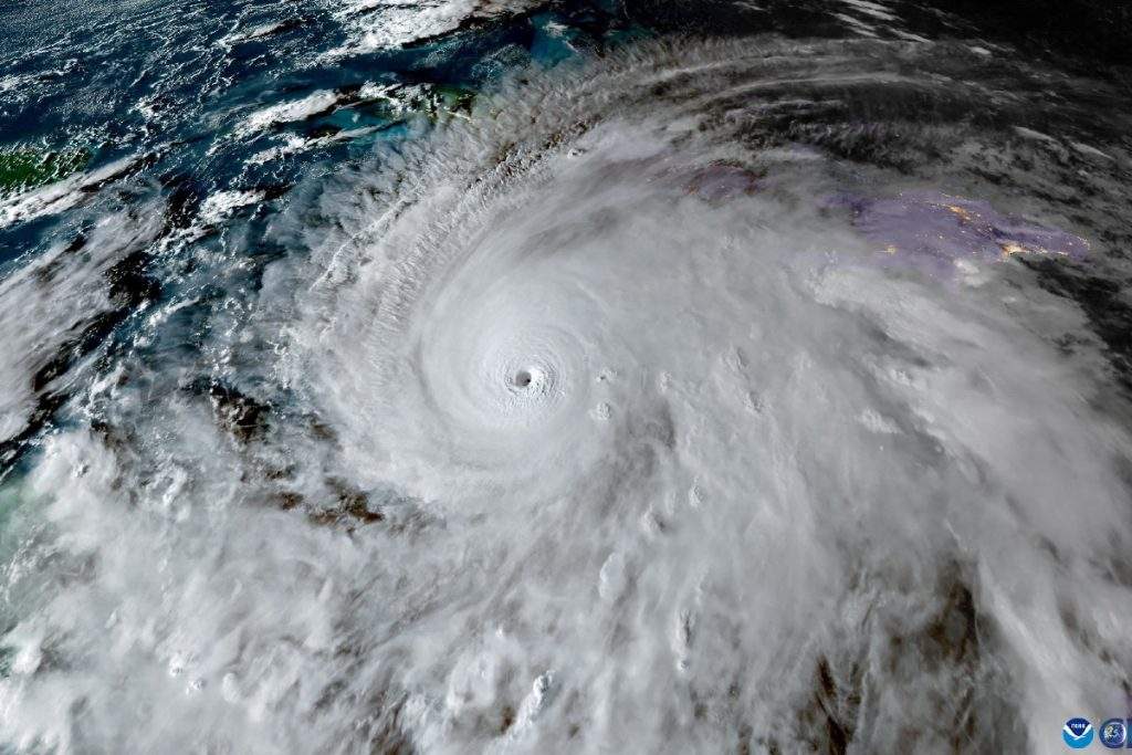
Τυφώνας Μελίσα: Πλησιάζει την Τζαμάικα – Ισχυρότερος και από τον Κατρίνα

Ειδικοί εκτιμούν ότι ο τυφώνας «Μελίσσα» ενδέχεται να είναι ισχυρότερος από τον «Κατρίνα» που χτύπησε πριν από 20 χρόνια την Φλόριντα των ΗΠΑ, αφήνοντας πίσω του τεράστιες καταστροφές και περισσότερους από 1.000 νεκρούς.
Μετάβαση στην Πηγή για να διαβάσετε ολη την είδηση
Author:
Πως σας φάνηκε το αρθρο?
ΑΠΙΘΑΝΟ
0
ΚΑΛΟ
0
ΜΕ ΑΡΕΣΕ
0
ΟΚ ΔΕΝ ΤΡΕΛΑΘΗΚΑ
0
ΧΑΧΑ ΕΛΑ ΠΛΑΚΑ ΚΑΝΕΙΣ
0













